Niverville Council Votes to Approve Fifth Avenue Estates West

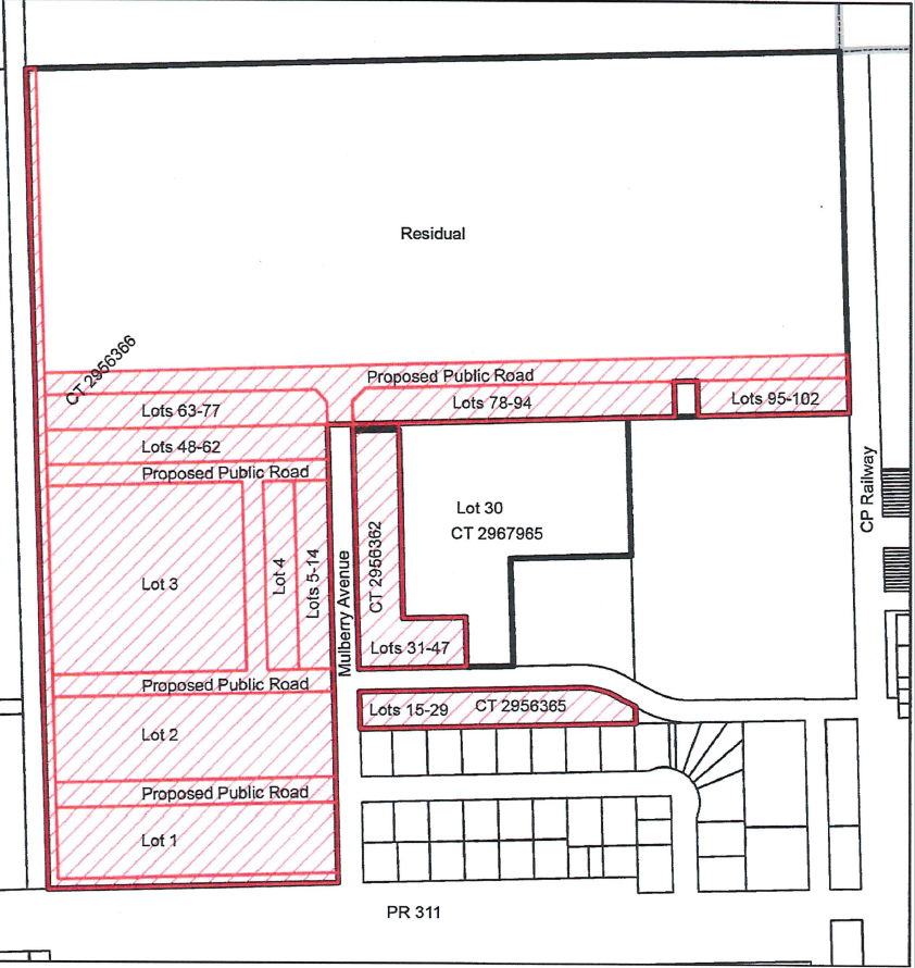
Map of the proposed new development.

Map of the proposed new development.

Province of Manitoba

At a public meeting on Tuesday, January 22, Niverville’s town council took a look at a subdivision plan proposed for the first phase of Fifth Avenue Estates West, a new development to be located in the area surrounding the new high school. The proposed plan would lead to the creation of 103 lots on 111 acres of land.

A conceptual drawing was provided, indicating the various residential and commercial lots being planned. As per the drawing, lots 1 and 2 would be designated for commercial development while lots 3 and 4, immediately west of the high school grounds, are proposed to contain multi-family homes. Lots 5 through 29 and 31 to 102 would be zoned low-density residential while lot 30 is to be allocated as school greenspace.

Further to this, the developer requested the opening of five new public roads within phase one of the development, as well as the extension of Mulberry Avenue to connect with the most northerly public road.

While this hearing was not intended to address eventual road closures, the provincial government has determined that one access along this stretch of Highway 311 will need to be closed in order to mitigate traffic hazards caused by too many highway accesses. Provincial authorities are advising council to consider an access closure before approving the new development.

Current highway accesses include Arena Road, Ritchot Drive, Church Street, and Mulberry Avenue. After much consideration, council made a recommendation to close the Ritchot Drive and Church Street accesses on the east end where they connect with the highway.

Should the development plan proceed as proposed, two accesses would still be available to residents of these streets—one off Mulberry Avenue and another off Krahn Road. Closing the east highway accesses, though, would turn them into dead-end streets. While the purpose of the public meeting was to vote on the subdivision and public roads, council allowed for residents to speak to all the issues in play.

Numerous residents came forward to inquire about plans for adequate sidewalk access for students walking to the new high school, as well as the town’s plan for a pedestrian railway crossing. Council assured residents that both are being planned and negotiations are currently taking place with CP Rail and Transport Canada on a safe railway crossing for pedestrians. Due to costs and feasibility, council is considering only one access at this point, located where the railway tracks cross Main Street.

Residents of Church Street and Ritchot Drive shared concerns regarding the implications of having a dead end on their streets, which would make school bus access, snow-clearing, and garbage pickup more difficult. Another resident indicated that drainage in this area has long been a problem. Council reassured him that Mulberry Street would be completely rebuilt with drainage in mind and that the developer is required to install an underground drainage system to keep the water moving north to a retention pond within the development.

Frustrations were also shared about having to make decisions on only a portion of the proposed development rather than the whole plan, which at this time has not been made available to the public.

After considering all concerns, council voted unanimously in favour of the subdivision as proposed, which would include conditions laid out in the development agreement. The proposed road access closures of Ritchot Drive and Church Street will be addressed in another public hearing down the road.

FOR MORE INFORMATION