Council Annexes Land for Future Development

Map of annexed land

Map of annexed land

Government of Manitoba

Not only is Niverville’s population still growing, its boundaries are too with the recent acquisition of land from the RM of Hanover. The acquisition is intended to further council’s mandate to promote and grow our business sector, which in turn helps tip the balance of residential versus commercial taxation.

Around 2004, council started working toward developing a business park, land specifically designated for commercial or industrial use with access to a main transport route. Concentrating commercial and industrial businesses in one area allows for a community to provide efficient access to those business’s unique water and infrastructure needs. 

Approximately ten years ago, Niverville partnered with the RM of Hanover to create a jointly owned business park called Hanville. Eight lots were created along the east side of Sixth Avenue North. The joint venture allowed the land to remain in the Hanover municipality but be jointly developed and maintained. 

“We were lauded by the province at the time for being willing to work together on such a venture,” says Mayor Myron Dyck.

The eight lots were sold to business owners and, eventually, queries for more lots arose. In 2014, council requested from Hanover a second phase of development. This time, Hanover was unwilling to comply, noting that their resources were needed for other projects. Hanover made a request to town council to exercise the shotgun clause in their agreement—a legal means for one party to buy the other party out. Town council agreed, hiring the Stephenson Group, an independent appraisal team, to valuate the land. Niverville purchased Hanover’s shares for the land and renamed it the Niverville Business Park. 
But there was still a problem: the community was now split geographically. 

“The Town of Niverville now owned 180 acres of land but in the RM of Hanover and with no connection,” says Dyck. “It was an island.”

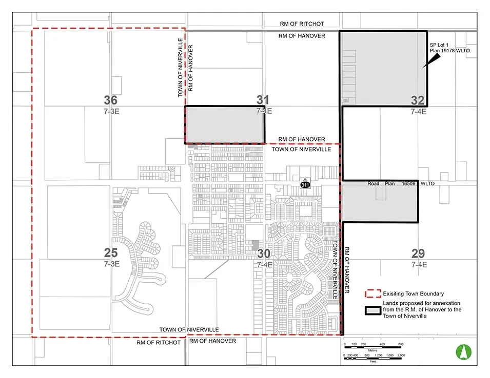
Council met with the RM of Hanover once again, this time proposing the annexation of 1,100 additional acres. This proposal would have extended the boundary of Niverville to the mile road north of Third Street North, the land south of Highway 311 to Crown Valley Road, and the land east of Sixth Avenue in which the business park is located.

“[1,100 acres] may seem like a lot. However, one of the deciding points was to make the boundaries square, and also so that a mile of road would be entirely in one community,” adds Dyck. “It does not make sense for the Hanover grader to grade one half mile and turn around so that the Niverville grader can do the other half mile. It just made more sense for one RM to maintain and own an entire mile of road than to have to split the duties of who pays for the maintenance of that road.”

Hanover agreed to the terms. In 2014, both parties submitted a proposal to the province for approval. 

The province turned it down, with the Minister of Agriculture not willing to risk losing valuable acres of farmland within the proposed annexation area. Though council countered the argument by explaining that the land would still be designated for farm use, the Minister of Agriculture believed that once land is annexed, it becomes developable land and can no longer be considered agricultural.

Niverville and Hanover went back to the table, proposing a scaled-back version of the original plan, this time including only 340 acres in the annexation. The new proposal would see the annexation of the roadway of Sixth Avenue North, from ditch to ditch, keeping the farmland outside the boundary but connecting the business park to the community. The second annexation portion would include 80 acres to the north of Third Street North, creating the potential for future residential development there. Finally, an 80-acre parcel south of Highway 311 was included, bordering Sixth Avenue South, to be designated as highway commercial development.

“Do we need this [land along the highway] today?” asks Dyck. “No, not necessarily. However, when an opportunity to annex land for future development present[ed] itself, council decided to seize the opportunity. Currently, Niverville and Hanover share a very good relationship. That could change one day and this opportunity may never be there in the future.”

Earlier this year, the province approved the new plan and the land was purchased by the Town of Niverville. Mayor Dyck says the next phase of the business park will feature lots ranging from a half-acre to four acres in size. 

“Now that the annexation is a go, the Town of Niverville has to redo its development plan,” says Dyck. “This is done to show the province the intent for land, both for current lands and also for annexed land.”

Dyck says that the development plan will need to be completed by the end of 2016, as the annexation comes into effect on January 1, 2017.